

In 1917, George F. Johnson was six years out of Howard University’s medical school. Three years earlier, the Orange County native had married Peachie Suporah Carr, a native of Albemarle County, who had recently graduated from the Virginia Normal and Industrial Institute (Virginia State University).

Together they lived in the heart of Vinegar Hill at 123 4th Street NW, where Dr. Johnson saw patients as one of Charlottesville’s well-known Black doctors. Mrs. Johnson walked across the street to the Jefferson School, where she taught generations of African American children until retiring in 1958.
In 1917, however, the Johnsons eyed a property just one block west, at 204 5th Street NW. They decided to invest, paying $600 to keep yet another neighborhood lot in Black owne rship. By 1917, that block of 5th Street NW—today known as Starr Hill—had nearly three decades of Black ownership, amidst a vast surrounding residential landscape that white residents were increasingly restricting through racist covenants. These private agreements not only restricted the affordable housing options for Black renters, but also prevented Black residents from buying more property throughout the city and building wealth.


Earlier this year the Jefferson School African American Heritage Center‘s Isabella Gibbons Local History Center received support from the National Trust for Historic Preservation, to help tell the stories and history of Black property throughout Charlottesville and Albemarle.
Property, whether rented or owned, is a person’s space, an extension of their humanity and ability to safely exist in the world. For more than a century after Liberation and Freedom Day, Black residents fought tirelessly against policies and actions directly aimed at thwarting and destroying this existence.
Despite this, Black residents built homes and vibrant neighborhoods throughout Charlottesville—to the west in Kellytown, Rose Hill, and 10th and Page—to the north along Pearl Street—to the south in Fifeville, Gospel Hill, and Ridge Street—and in the city’s center, throughout Vinegar Hill and Starr Hill. Here, Black businesses also took root: restaurants, grocery stores, funeral homes, newspapers, barber shops, dentists, construction companies, and physicians.

At the neighborhood’s core was the Jefferson School. What began in 1865 as a graded school funded by the Freedman’s Bureau at the Delevan Hotel, a block south of West Main Street, soon had more than 200 students and four teachers. By 1895, it moved to a new and larger building on the corner of Commerce Street and 4th Street NW.

Meanwhile, in 1894, two blocks away, the city’s all-white segregated graded school expanded to include a 4-year high school in the large 3-story Midway building. Since 1892, Black residents had advocated for their own 4-year high school, citing an ever-increasing student body and the unparalleled economic mobilization that a higher education secured.

1908 Jefferson School Graduating Class
By the early 20th Century, the Jefferson School only went to 8th grade. Classrooms remained overcrowded, teachers underpaid, and there was no indoor plumbing. The city’s white school superintendent suggested adding on to the existing building and expanding it to a 2-year high school. But after years of strategic organizing by Black residents, including a petition and the realization that the graded school could not be appropriately renovated, the all-white School Board, in 1922, approved a new Jefferson School. It would, however, come at a cost.

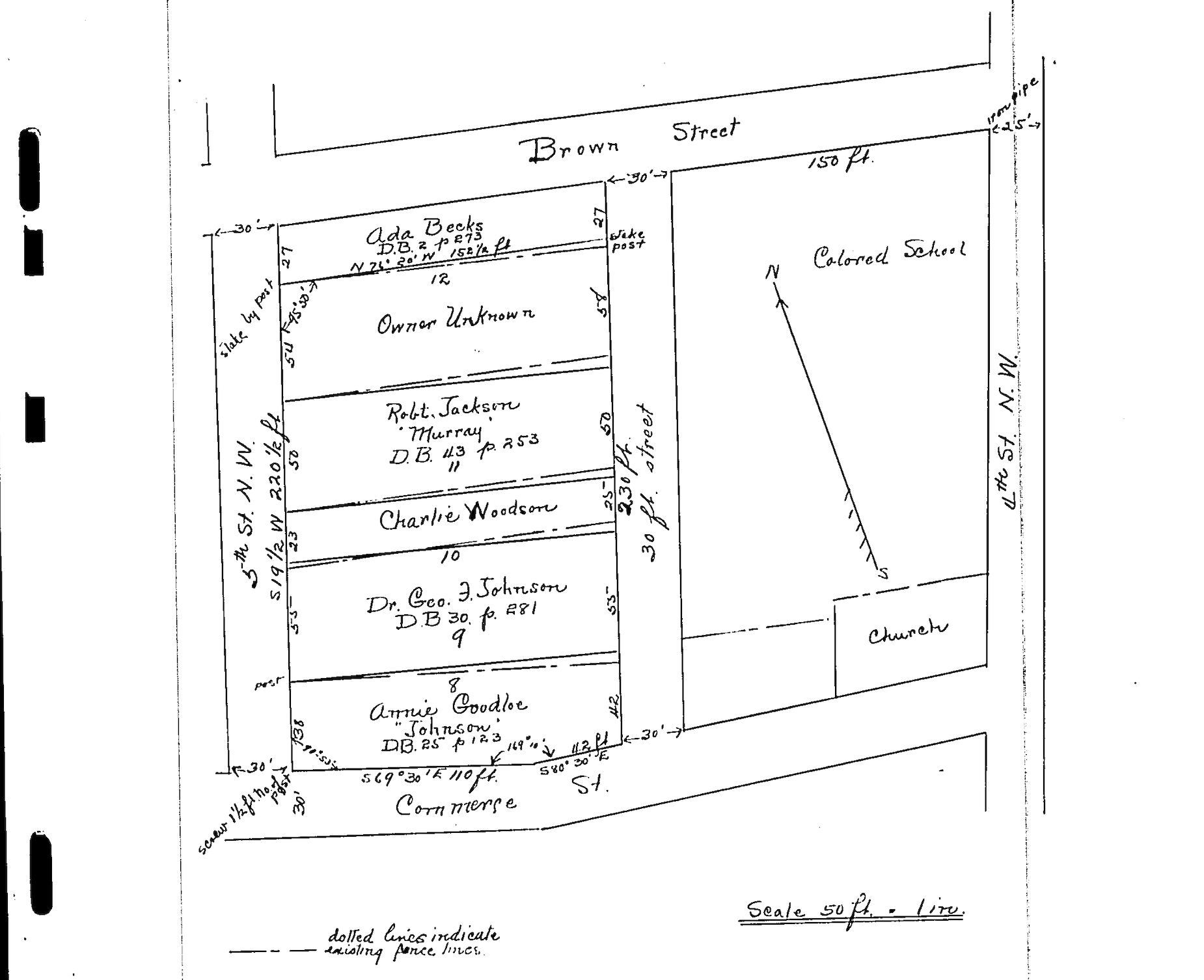
In 1924, the city convened an all-white commission “to ascertain what will be a just compensation for the lot of land proposed to be taken by the School Board of the City of Charlottesville and award damages if any.” The year prior a large bond had been issued to expand the all-white Venable Elementary School as well as the Jefferson School, but to do the latter, the city determined it must take a series of five properties along 5th Street NW, all of which were Black-owned.
The government’s legal ability to seize property through what’s commonly called “eminent domain” has its roots in the Fifth Amendment, which states in-part: “…nor shall private property be taken for public use, without just compensation.” The government has repeatedly invoked this right to seize private property for “public use,” even when that “public use” was segregated to white’s only. This occurred for the construction of the all-white Lane High School, and it was the basis for the urban renewal programs that razed Vinegar Hill and Garrett Street. What is often not discussed within the local conversation around eminent domain, however, is the razing of Black-owned property for Black use, such as with Cox’s Row to build Westhaven and this instance of 5th Street NW.

One of the first African Americans to purchase a home on this block of 5th Street NW was Ada Becks, who in 1888 paid $175 to Louis T. Hanckel, a white lawyer who lived on Park Street, for the lot on the corner of 5th Street NW and Brown Street. This property would become 214 5th Street NW, and was not seized by the School Board at this point but later when Jefferson High School expanded north in 1938.

The southernmost property on this block, 200 5th Street NW, on the corner of Commerce Street and 5th Street NW was bought in 1895 by Mary T. Scott from Thomas Rives for $185. Scott is the great-granddaughter of Mary Hemings, who Thomas Jefferson enslaved at Monticello. She’s the daughter of Robert Scott, Sr., a member of the prominent Scott family of musicians who lived on Main Street throughout the 19th Century. Mary T. Scott’s step-niece was Nannie Cox Jackson, a career educator and longtime teacher at the Jefferson School.
In 1909, the year after Mary T. Scott’s death, her niece Annie B. Goodloe was listed in the 1910 Census as living with her aunt, Scott’s sister, Charlotte Scott. According to the 1910 public directory, Goodloe worked as a nurse, and in 1913, she became the owner of the house.

Also in 1895, Anderson Johnson secured a $200 bond to purchase the property that would become 206 5th Street NW. Two years later, however, Anderson defaulted on the bond payments and the property went to auction, where another African American, Eliza Kenney, was the highest bidder, purchasing it for $185.
Kenney was approximately 53 years old at the time, and seems to have known Johnson. According to the 1880 Census records, they both were living on Park Street, working as a servant and laborer in the home of Laura Howard McGuffey, the widow of William Holmes McGuffey, the author of the popular 19th Century McGuffey Reader textbooks, and for whom the white McGuffey Elementary school was named.
In 1918, when Kenney died, she left this 5th Street NW property to her friend Charlie Woodson. In September, 1924, the School Board seized it, deeming his “just compensation” to be $1,500.

In 1923, Robert and Mollie Jackson bought 208 5th Street NW from Albert S. and Sue D. Bolling for $1,350. There was a lien on the house when the Jacksons bought it, and every two months they paid $50 payments on a bond. According to the 1930 Census, Robert Jackson worked as a construction worker. In 1924, the School Board took their property in exchange for $2,250 in “just compensation,” and Robert and Mollie Jackson moved to 210 8th Street NW in the heart of 10th and Page neighborhood.
For their part, Dr. George F. Johnson and Peachie C. Johnson continued to live around the corner on 4th Street NW and serve as integral members of the community—Peachie Johnson was a member of the Colored Women’s Clubs, the Order of the Eastern Star, the Frederick Douglas Memorial and Historical Association, and for many years served as president of the Virginia State Federation of Colored Women’s Clubs, a large mutual-aid organization founded by Janie Porter Barrett. But for their newly acquired property, just 7 years after they purchased it, the School Board doled out $1,500 in “just compensation.”
