Skip to content
Search for:
mapping albemarle – mapping cville
Menu
Home
About
Contact
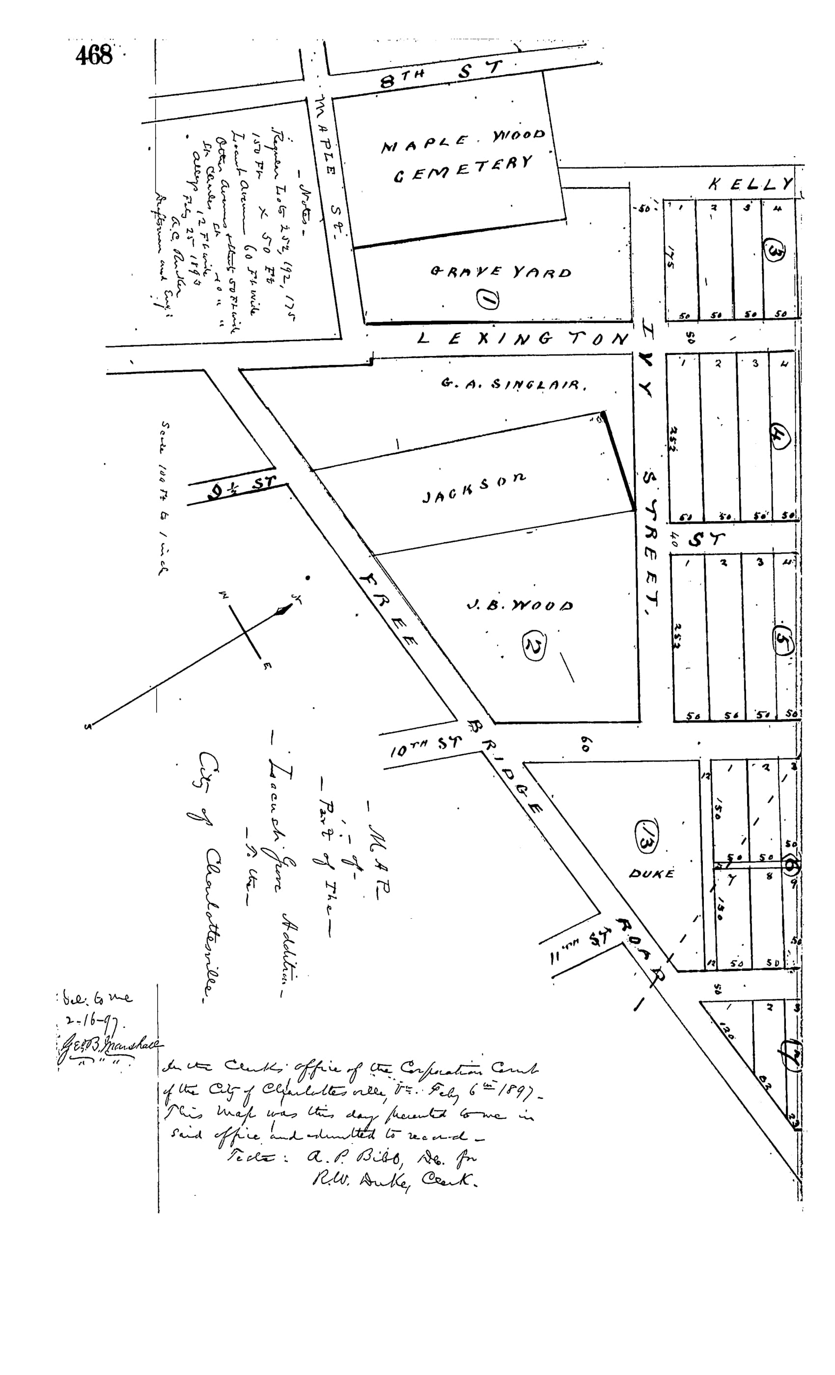
va540_99_real property_1_deed_00007_00468_pdf-1
Leave a comment
Cancel reply
Δ
Post navigation
1897 – 1948: Charlottesville’s first racially restrictive covenants (UPDATED)
Comment
Subscribe
Subscribed
mapping albemarle - mapping cville
Join 90 other subscribers
Sign me up
Already have a WordPress.com account?
Log in now.
mapping albemarle - mapping cville
Subscribe
Subscribed
Sign up
Log in
Copy shortlink
Report this content
View post in Reader
Manage subscriptions
Collapse this bar