One hundred years ago, Charlottesville was still very much a developing city. What was once farm land, was being bought and sold into smaller and smaller plots. And what we consider today to be well-established neighborhoods were just beginning to form, most often as subdivisions.
Take for instance, Park Plaza. The area is just two blocks north of Court Square. It’s bound by Wine Street to the north, 2nd Street NE to the west, Park Street to the east, and Hedge Street to the south. In the fall of 1927, according to property records, co-owners Emily H. Michie and John S. Graves joined forces to create a subdivision that they called Park Plaza.
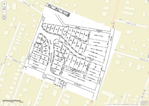
There are 36 properties laid out in the Park Plaza plat.

And so, what I’m doing is — having gotten a digital scan of that plat — I’m then georeferencing it in ArcGIS to its modern day location within the neighborhood.

One interesting aspect to many of the subdivisions and plats created during this time is that, in the neighborhoods that were restricted to white families, not many of them have changed over the years. The property lines are largely the same as they were 90-some years ago when they were first drawn. Nevertheless, I want people to be able to see these original plats both in their original form and as they exist today. So here’s what the plat looks like with the modern day parcels highlighted over top of it.

And here it is without the plat, just as the 36 individual parcels.

For each of these properties, as they were sold off to private homebuyers, deeds were drawn up and signed. And within those deeds was all the information about the property and the transaction.
Take for instance, this property in Park Plaza. It’s described as Lot No. 3, in Block W on a plat of Park Plaza. And it sold for $2,000 — $500 of which was paid in cash. The dimensions of the property are outlined in the deed, the history of prior owners, and then towards the bottom a series of rules that the property owner, in purchasing the property, agrees to is detailed.

- That for a period of twenty (20) years, said property shall be used exclusively for residential purposes.
- This lot shall not be sold to any person not of the Caucasian race.
- No building costing less that five thousand dollars ($5,000), except the usual and necessary outbuildings used in connection with the residence, shall be erected on said property.
- All buildings, exclusive of the porches, erected on the property, shall not be less than twenty-three (23) feet from the front line of the property.
In future posts, I’ll delve into how this deed language — known as a covenant — was constructed, why, and to what end. But for now, I just want to lay out a bit of my process.
Next up: Scanning and digitizing property deeds with Optical Character Recognition…

Where do you acquire digital scans of the subdivision plat?
LikeLike
At the city and county courthouses.
LikeLike